泸县自然资源和规划局 关于泸县神仙桥化工园区企业配套服务工程供水项目(一期)规划设计方案的批后公布
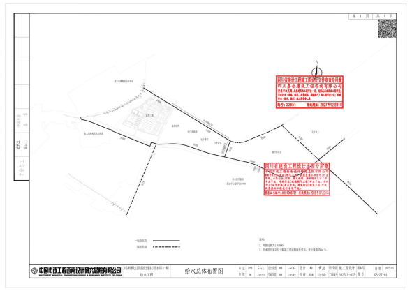
按照《中华人民共和国城乡规划法》《四川省城乡规划条例》《住建部关于城乡规划公开公示的规定》等相关法律、法规要求,现将泸县神仙桥化工园区企业配套服务工程供水项目(一期)规划设计方案总平面图进行批后公布。

扫一扫在手机打开当前页
按照《中华人民共和国城乡规划法》《四川省城乡规划条例》《住建部关于城乡规划公开公示的规定》等相关法律、法规要求,现将泸县神仙桥化工园区企业配套服务工程供水项目(一期)规划设计方案总平面图进行批后公布。

账号+密码登录
手机+密码登录
还没有账号?
立即注册